6-Storey Building Planned for Emerging Area of Marpole
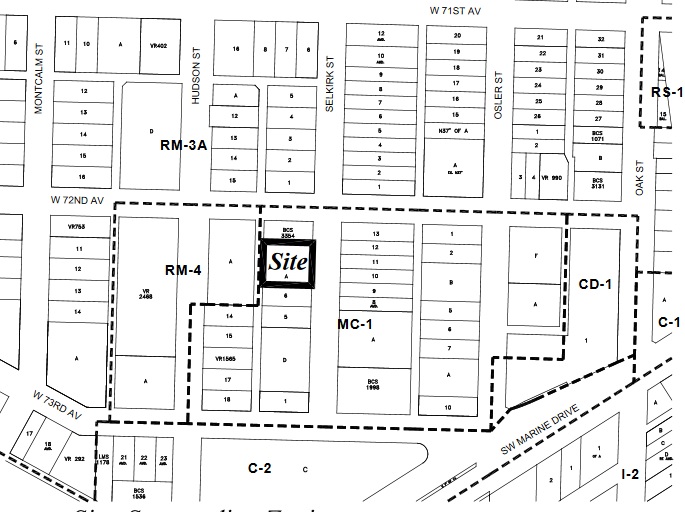
An application has been submitted to rezone an 11,500 SF mid-block site at 8815-8827 Selkirk Street. Th plan is to rezone from the current MC-1 industrial zoning to allow for a 6-storey mixed-use building. The proposal is being made under the Marpole Community Plan, and the project includes:
- 33 residential units;
- 24 one-bedrooms, 6 two-bedrooms and 3 three-bedrooms
- 2,408 SF of commercial space on the ground floor;
- a building height of 61 ft.;
- a total density of 2.96 FSR; and
- 36 vehicle parking spaces and 42 bicycle spaces.
The site is currently improved with two older lowrise office/industrial buildings. The area south of West 70th Avenue has potential for new residential buildings, but so far has been slower to develop than other more established residential areas of Marpole.



The architect for the project is Wilson Chang.