Cressey Planning Next Kerrisdale Project
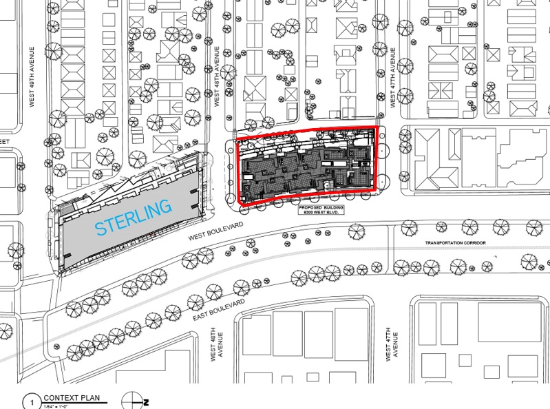
Cressey Development and IBI Group Architects have applied to develop a full block site at West Boulevard and West 47th Avenue in Kerrisdale, just across the street from their nearly sold-out 37-unit Sterling project, which is undergoing excavation to the South on West 48th.
The plan for this 31,238 SF site is to develop a 4-storey mixed use building that includes the following:
- Total floor area of 77,825 SF
- 16,271 SF for commercial on the first floor and 61,554 SF for residential;
- Building height of approximately 45 ft;
- 4 townhouse Units and 36 apartment condo units;
- 125 underground parking spaces accessed from the rear lane.
Under the site’s existing C-2 zoning, the application is “conditional” so it may be permitted; however, it requires the decision of the Director of Planning. The full application details can be viewed here: http://development.vancouver.ca/6333wblvd/index.htm.
Cressey acquired the site in April 2015 for $26,300,000, or $338 per buildable SF.


thanks for the info.
i believe the site is 31,238 SF, which equates to 2.49 FSR
interesting to note the extra 0.5 FSR being asked for on the Bogner site above for the HRA
Thanks Mark. I have fixed this….that math didn’t add up!