Vancouver Market - Tracking commercial real estate investment sales across Metro Vancouver — sale prices, cap rates, and $/SF data for apartment, retail, office, land, and development transactions. By David Taylor, SVP at Colliers International Canada.
  • Home
  • Listings & Sales
  • About
  • Subscribe
  • Metro Vancouver Commercial Real Estate Market Data
Vancouver Market - Tracking commercial real estate investment sales across Metro Vancouver — sale prices, cap rates, and $/SF data for apartment, retail, office, land, and development transactions. By David Taylor, SVP at Colliers International Canada.
Home
Listings & Sales
About
Subscribe
Metro Vancouver Commercial Real Estate Market Data
  • Home
  • Listings & Sales
  • About
  • Subscribe
  • Metro Vancouver Commercial Real Estate Market Data
Development

34-Unit Building Planned for Hastings Heights Area

Streetside Developments has filed a rezoning application for a 16,251 SF site at the corner of Hastings and Willingdon in the Hastings Heights area of Burnaby. The plan is to rezone from C8a to CD to allow:

  • a 5-storey mixed use building with retail at grade and residential above
  • 34 condo units including 10 one bedrooms and 24 two-bedrooms
  • a total density of 2.86 FAR
  • 8,055 SF of commercial space
  • 68 underground parking spaces

4453 Hastings

 

March 21, 2016by david.taylor@colliers.com
Development

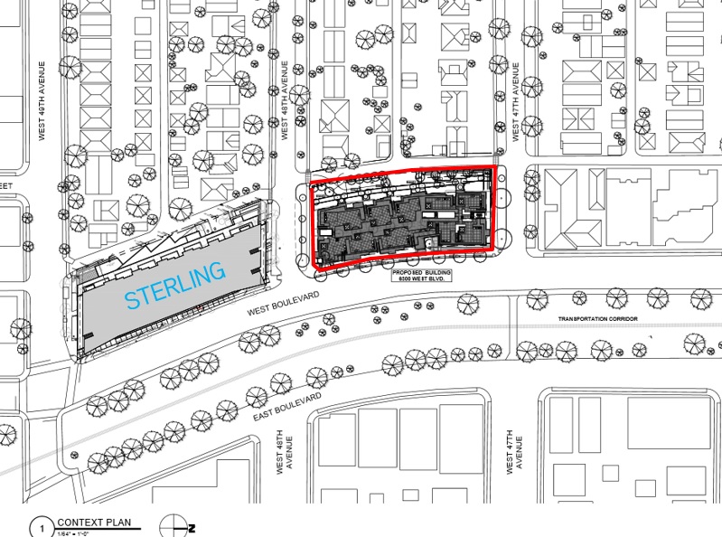
Cressey Planning Next Kerrisdale Project

Cressey Development and IBI Group Architects have applied to develop a full block site at West Boulevard and West 47th Avenue in Kerrisdale, just across the street from their nearly sold-out 37-unit Sterling project, which is undergoing excavation to the South on West 48th.

The plan for this 31,238 SF site is to develop a 4-storey mixed use building that includes the following:

  • Total floor area of 77,825 SF
  • 16,271 SF for commercial on the first floor and 61,554 SF for residential;
  • Building height of approximately 45 ft;
  • 4 townhouse Units and 36 apartment condo units;
  • 125 underground parking spaces accessed from the rear lane.

Under the site’s existing C-2 zoning, the application is “conditional” so it may be permitted; however, it requires the decision of the Director of Planning. The full application details can be viewed here: http://development.vancouver.ca/6333wblvd/index.htm.

6333 West Blvd 6333 West Blvd_1Cressey acquired the site in April 2015 for $26,300,000, or $338 per buildable SF.

March 21, 2016by david.taylor@colliers.com

Search the Site

Vancouver Market Follow

David Taylor - Senior Vice President @ColliersCanada. Chronicling investment and development activity in Vancouver. Views are my own.

vancouvermrkt
vancouvermrkt Vancouver Market @vancouvermrkt ·
11 May

District of North Van council sends proposed CapU student housing tower back to drawing board via @NorthShoreNews

Reply on Twitter 2053908262093742433 Retweet on Twitter 2053908262093742433 Like on Twitter 2053908262093742433 X 2053908262093742433
Retweet on Twitter Vancouver Market Retweeted
globeandmail The Globe and Mail @globeandmail ·
16 Apr

First Capital REIT acquired by Choice Properties and KingSett for $5.2-billion

Reply on Twitter 2044762643806949766 Retweet on Twitter 2044762643806949766 3 Like on Twitter 2044762643806949766 4 X 2044762643806949766
Retweet on Twitter Vancouver Market Retweeted
gravitasmsn MN @gravitasmsn ·
16 Apr

First Capital REIT --> Choice Properties REIT and Kingsett Capital are teaming up to acquire the Canadian real estate company in a deal valued at over $9 billion, including assumed debt. Choice Properties will acquire roughly five billion dollars worth of shopping centres, while

Reply on Twitter 2044768222269063276 Retweet on Twitter 2044768222269063276 1 Like on Twitter 2044768222269063276 1 X 2044768222269063276
Retweet on Twitter Vancouver Market Retweeted
northshorenews North Shore News @northshorenews ·
16 Apr

West Vancouver condo project in receivership, causing 'heartbreak' in Dundarave

Reply on Twitter 2044620858858274895 Retweet on Twitter 2044620858858274895 6 Like on Twitter 2044620858858274895 14 X 2044620858858274895
Load More

Categories

  • Apartment
  • Condo
  • Development
  • For Sale
  • Hotel
  • Investment
  • Land
  • Market Research
  • Office
  • Rental
  • Retail
  • SOLD


David Taylor Personal Real Estate Corporation

Colliers International

DT

David Taylor

Senior Vice President, Colliers Canada

David Taylor is a Senior Vice President at Colliers International in Vancouver, BC, specializing in the sale of commercial real estate across Metro Vancouver. He has sold over $1.7 Billion in office buildings, retail properties, apartment buildings and development land since 2004.

Vancouver Market chronicles investment and development activity in Metro Vancouver, including sale prices, cap rates, $/SF metrics, and market context for commercial real estate transactions.

© 2019 Copyright  |  All Rights Reserved